Empowering Your Projects with Precision Surveys and Expert Solutions.
Guiding clients through every stage of their residential development projects, with regulatory compliance and construction oversight.
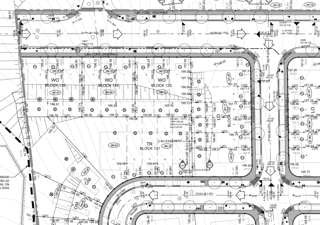
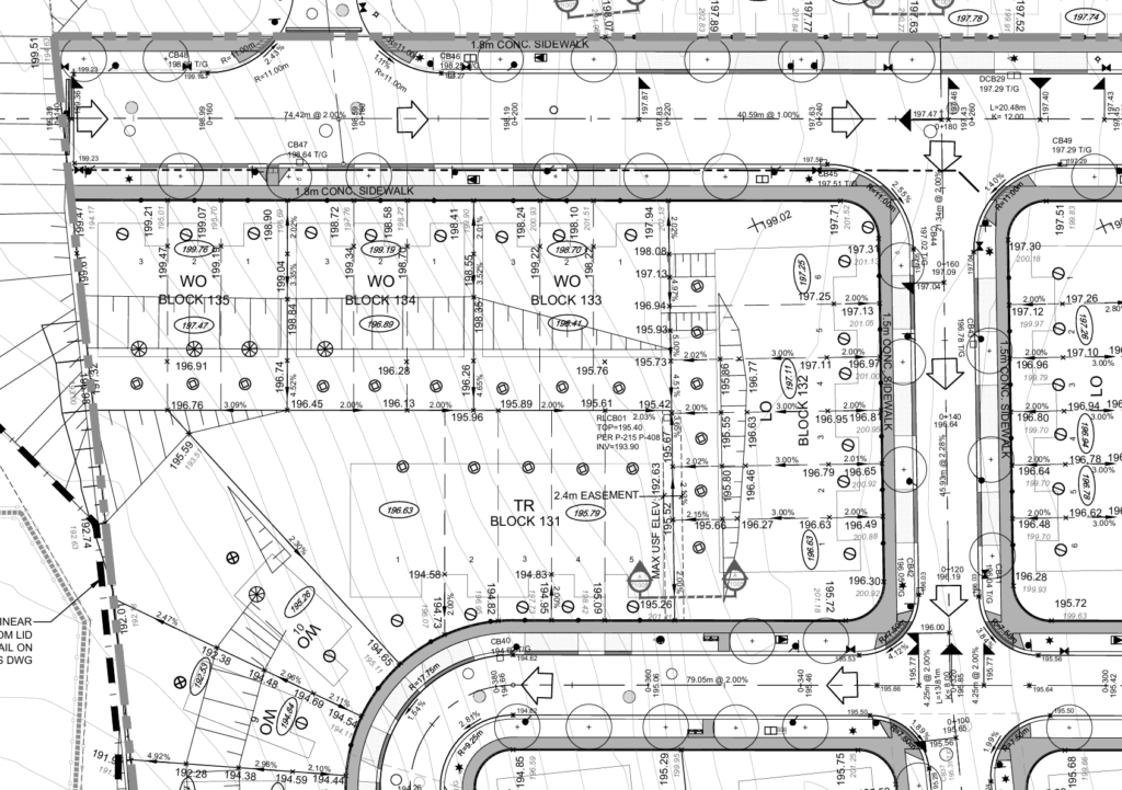
Creating detailed site plans for new home construction, incorporating relevant features and meeting local building codes.
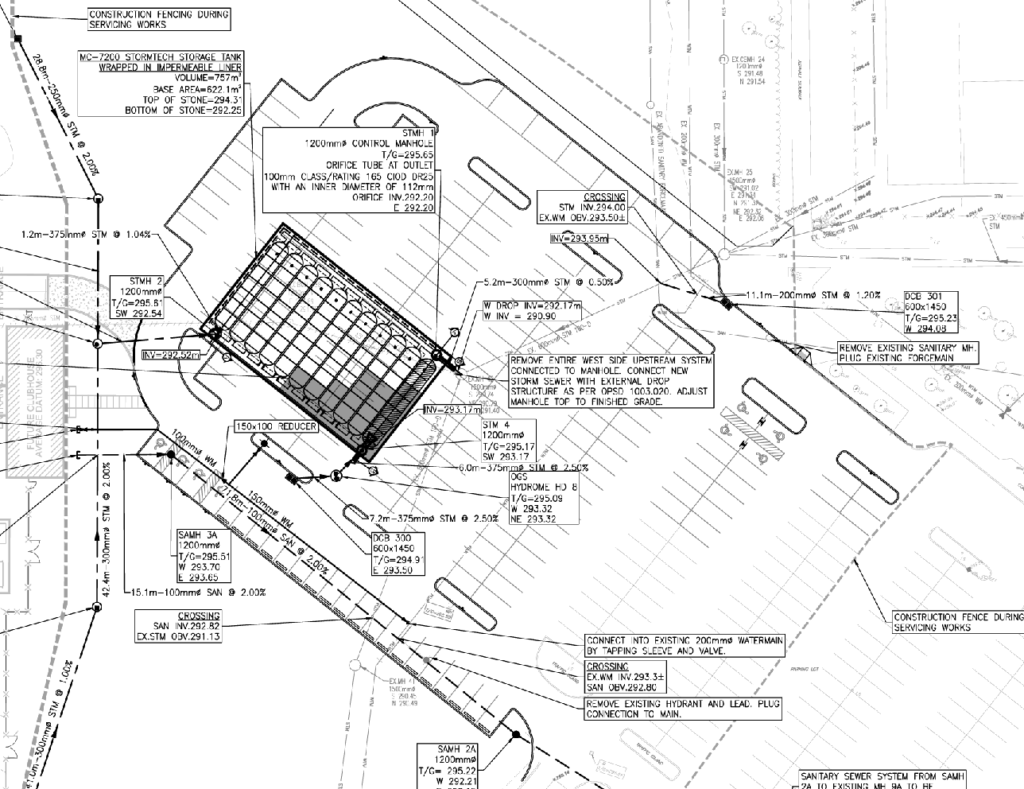
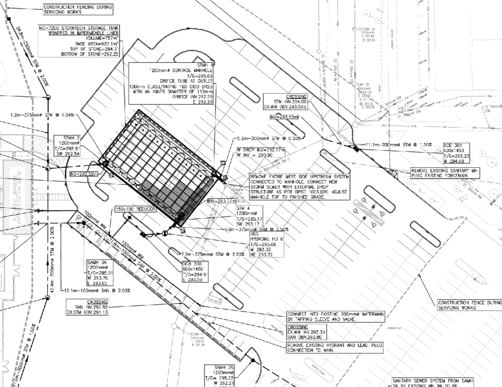
Conducting elevation surveys to determine the best strategies for flood mitigation and designing effective drainage systems to protect properties.
Documenting existing structures and improvements on residential properties for permit applications and city planning.
Whether it’s a high-rise building, bridge, dam, or any other complex structure, our precision monitoring services provide real-time data that empowers clients to make informed decisions and take proactive measures to protect their investments. With a focus on accuracy and timely reporting, our team at GeoSolution Surveying is your partner in safeguarding the stability and reliability of your critical assets.
Ready to bring precision to your next project? Contact us today to discuss your surveying and engineering needs with our expert team.